西安市人民政府
征地补偿安置公告
西(临)征补告字〔2024〕第3号
根据《中华人民共和国土地管理法》相关规定,结合本次被征收土地的现状调查以及社会稳定风险评估结果,现将征地补偿安置有关事宜公告如下:
一、征收土地的范围及现状
(一)拟征收土地范围
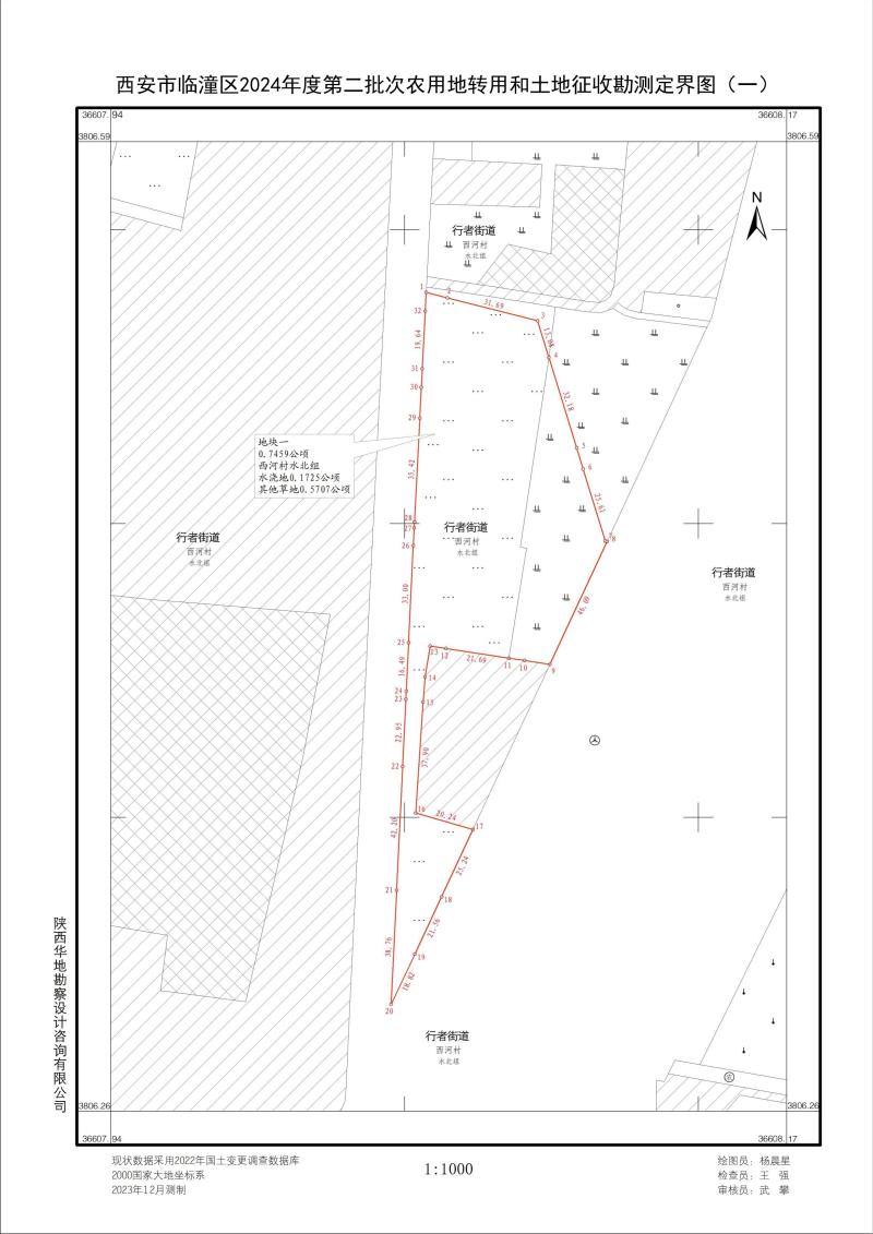
本次拟征收土地位于临潼区行者街道西河村,四址范围:东至凤渭路,南至西河村农村道路,西至西河村果园和其他草地,北至西河村水浇地和村庄。具体范围详见《勘测定界图》(附件)。
(二)拟征收土地现状
本次拟征收土地的权属、地类、面积如下:
| 权属(以勘界为准) | 地类名称 | 面积(公顷) | ||
行者街道 西河村 | 农用地 | 耕地 | 2.0349 | 0.7511 |
园地 | 0.2561 | |||
其他农用地 | 1.0277 | |||
合计 | 2.0349 | |||
涉及的农村村民住宅、其他地上附着物和青苗等的权属、种类、数量等信息详见《拟征收土地现状调查报告》(或以现状调查确认表为准)。
二、征收目的
本次拟征收土地的用途为住宅用地,该用地符合《中华人民共和国土地管理法》第四十五条第五款规定,确需征收农民集体所有土地。
三、补偿标准及安置方式
1. 根据《陕西省人民政府关于公布全省征收农用地区片综合地价的通知》(陕政发〔2020〕12号)、《西安市临潼区人民政府关于公布全区征收农用地区片综合地价的通知》(临政发〔2021〕第3号),本次拟征收土地涉及1个征地综合地价区片。其中,西河村土地补偿标准为60130元/亩。
2. 本次拟征收土地范围内的农村村民住宅及其他建筑物补偿标准按照临潼区政府现行补偿标准执行。
3. 本次拟征收土地范围内的青苗和地上附着物等补偿依照临潼区政府现行补偿标准执行。
4. 被征地农民采取货币安置、社会保险安置的形式予以保障。
四、补偿登记办理时间及地点
本次拟征收土地的所有权人、使用权人应从本公告张贴之日起30日内,持不动产权属证明及相关材料,到行者街道办事处办理补偿登记。在规定期限内不办理土地补偿登记的,将以土地调查结果为准。
五、其他事项
自本公告发布之日起30日内,多数被征地的农村集体经济组织成员认为《征地补偿安置公告》不符合法律、法规规定或有不同意见的,应当在本公告期内向市资源规划局临潼分局提出具体意见;要求听证的应书面提出申请,逾期未提出具体意见或听证申请的,视为放弃权利。对土地征收补偿安置公告无异议的,应提供《征地补偿安置公告无需听证回执书》。
本公告期满后将按照补偿登记结果与拟征收土地所有权人、使用权人签订《征地补偿安置协议》,市资源规划局临潼分局将依据本公告及签订的《征地补偿安置协议》拟定用地报批征收土地方案,征地补偿安置内容以省政府批复为准。
附件:勘测定界图
2024年1月21日











陕公网安备 61011502000007号